Bán nhà 88-90-90/2 Tôn Thất Tùng, Phường Bến Thành, TP.HCM

320.000.000.000 VND 350.000.000.000 VND -8%

Bán nhà số 88-90-90/2 Tôn Thất Tùng, Phường Bến Thành, TP.HCM

  • Vị trí: số 88-90-90/2 Tôn Thất Tùng, Phường Bến Thành, TP.HCM

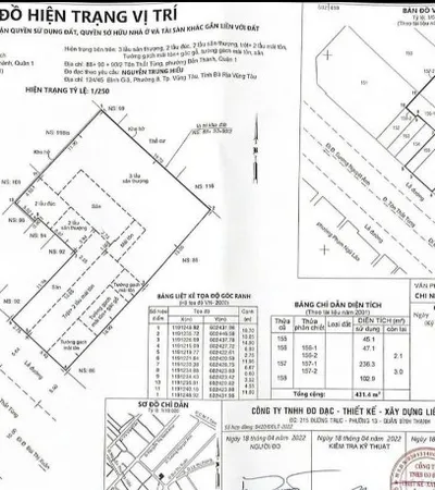
  • Diện tích: 9,7x28,4m Nở hậu 20m
  • Diện tích CN: 428,96m2
  • Hiện trạng: Trệt 2 lầu
  • DT Sàn: m2
  • CTXD: 2 Hầm 12 - 14 tầng
  • Đường trước nhà: 20m
  • Pháp lý: Sổ hồng
  • Giá bán: 350 tỷ (có thương lượng)

Còn hàng

Bán nhà 88-90-90/2 Tôn Thất Tùng, Phường Bến Thành, TP.HCM – Khu đất vàng lõi Quận 1, nở hậu 20m

Thị trường trung tâm TP.HCM hiện nay gần như không còn nhiều quỹ đất lớn có bề ngang đẹp và pháp lý rõ ràng. Chính vì vậy, bán nhà 88-90-90/2 Tôn Thất Tùng, Phường Bến Thành, TP.HCM đang là cơ hội đặc biệt dành cho nhà đầu tư chiến lược, chủ doanh nghiệp lớn và các tập đoàn đang tìm kiếm tài sản quy mô để phát triển tòa nhà thương mại – văn phòng – khách sạn mini ngay lõi trung tâm.

Tài sản sở hữu mặt tiền rộng, khuôn đất nở hậu lớn hiếm gặp và chỉ số quy hoạch rất tốt – điều mà giới đầu tư lâu năm hiểu rằng: “đất đẹp trung tâm là tài sản không sinh thêm”.

1. Thông tin chi tiết sản phẩm – Bán nhà 88-90-90/2 Tôn Thất Tùng, Phường Bến Thành, TP.HCM

  • Địa chỉ: 88 - 90 - 90/2 Tôn Thất Tùng, Phường Bến Thành, TP.HCM

  • Diện tích đất: 9,7m × 28,4m – nở hậu 20m
  • Tổng diện tích công nhận: 428,96m² (thực tế sử dụng riêng 431,4m²)
  • Kết cấu hiện hữu: 1 trệt + 2 lầu
  • Lộ giới: 20m
  • Hướng: Tây Nam
  • Pháp lý: 02 sổ hồng – quyền sử dụng nhà và đất
  • Giá bán cũ: 350 tỷ
  • Giá bán nhanh: 320 tỷ (~745 triệu/m²)

Đây là một trong số rất ít tài sản mặt tiền trung tâm Quận 1 có diện tích trên 400m², bề ngang gần 10m và đặc biệt nở hậu đến 20m – cực kỳ thuận lợi về phong thủy và thiết kế công trình quy mô lớn.

2. Giá trị quy hoạch – Nền tảng phát triển tòa nhà 12 đến 14 tầng

Một điểm then chốt khi nhắc đến bán nhà 88-90-90/2 Tôn Thất Tùng, Phường Bến Thành chính là chỉ số quy hoạch rất hấp dẫn:

  • Mật độ xây dựng: 75%
  • Hệ số sử dụng đất: 4,5 lần
  • Chỉ tiêu xây dựng mới dự kiến: 12 đến 14 tầng
  • Tổng diện tích sàn dự kiến: ~3.500m²
  • Với diện tích sàn hơn 3.500m² tại lõi trung tâm, tài sản này phù hợp để phát triển:
  • Tòa nhà văn phòng hạng B
  • Khách sạn boutique
  • Căn hộ dịch vụ cao cấp
  • Trung tâm đào tạo – giáo dục – thương hiệu quốc tế
  • Trụ sở tập đoàn

So với mặt bằng giá đất trung tâm hiện nay, mức 745 triệu/m² cho khu đất quy mô lớn như vậy là tương đối cạnh tranh nếu xét trên tổng thể vị trí + chỉ số xây dựng.

3. Vị trí lõi Phường Bến Thành – Tâm điểm thương mại tại TP.HCM

Phường Bến Thành là trung tâm Du lịch – Thương mại – Tài chính – Dịch vụ lâu đời của Quận 1. Từ vị trí 88-90-90/2 Tôn Thất Tùng, có thể kết nối nhanh đến:

  • Chợ Bến Thành
  • Công viên Tao Đàn
  • Ga Bến Thành
  • Trục Cách Mạng Tháng 8 – Nguyễn Trãi – Phạm Ngũ Lão
  • Khu vực này hội tụ:
  • Lượng khách du lịch quốc tế cao
  • Mật độ văn phòng – khách sạn lớn
  • Tập trung nhiều thương hiệu F&B, dịch vụ cao cấp
  • Thanh khoản mặt bằng luôn duy trì ổn định

Đối với nhà đầu tư tinh hoa, đây là khu vực “giữ tiền bằng vị trí” – nơi giá trị không chỉ nằm ở hiện tại mà còn ở khả năng tăng trưởng dài hạn.

4. Phân tích dành cho nhà đầu tư & tập đoàn phát triển

Khu đất lớn hiếm hoi còn lại

Quận 1 gần như không còn nhiều tài sản trên 400m² có bề ngang gần 10m. Quy mô này đủ để tạo ra một công trình có dấu ấn thương hiệu.

Tối ưu hiệu quả khai thác

Với hơn 2.200m² sàn khai thác, bài toán dòng tiền khi vận hành văn phòng hoặc khách sạn có thể đạt biên lợi nhuận tốt nếu quản lý hiệu quả.

Ba sổ hồng – linh hoạt pháp lý

Sở hữu 2 sổ giúp phương án tài chính linh hoạt hơn khi cần cơ cấu vốn hoặc chuyển nhượng từng phần.

Giảm giá mạnh – cơ hội mua nhanh

Từ giá chào 350 tỷ giảm còn 320 tỷ, đây là động thái rõ ràng của chủ tài sản muốn bán nhanh, tạo cơ hội đàm phán thực tế cho khách mua thiện chí.

5. Tổng kết cơ hội – Tài sản chào bán tại số 88-90-90/2 Tôn Thất Tùng, Phường Bến Thành, TP.HCM

  • Diện tích hơn 430m² đất riêng
  • Ngang 9,7m – nở hậu 20m
  • Quy hoạch 12 đến 14 tầng ~3.500m² sàn
  • Gồm 02 sổ hồng rõ ràng. Đang gộp thửa.
  • Giá bán nhanh 320 tỷ (có thương lượng)

Trong phân khúc bán nhà mặt tiền Phường Bến Thành, TP.HCM, đây là tài sản mang tính chiến lược, phù hợp cho:

  • Nhà đầu tư tích sản dài hạn
  • Chủ doanh nghiệp muốn xây trụ sở thương hiệu
  • Tập đoàn phát triển mô hình văn phòng – khách sạn trung tâm

Quỹ đất lớn tại lõi trung tâm TP.HCM không nhiều và gần như không tái tạo. Với những nhà đầu tư nhìn xa, quyết định không nằm ở “giá hôm nay” mà ở “giá trị 10–20 năm tới”.

Quý khách quan tâm bất động sản tại địa chỉ số 88-90-90/2 Tôn Thất Tùng, Phường Bến Thành, TP.HCM vui lòng liên hệ để nhận hồ sơ pháp lý, thông tin quy hoạch chi tiết và làm việc trực tiếp với chủ tài sản:

📞 CTCP Quản lý và Khai thác Tài sản Bến Thành
🏢 Địa chỉ: 90A Trần Quốc Toản, Phường Xuân Hòa, TP.HCM

Đội ngũ Nhà Đất Bến Thành

Cập nhật thông tin chính xác – giá trị thực – giao dịch chính chủ, pháp lý hoàn chỉnh, sang tên ngay, giá bán cạnh tranh.

Liên hệ ngay để sở hữu tài sản thương mại đắt giá bậc nhất Sài Gòn

Trân trọng cảm ơn quý khách./.

Sản phẩm liên quan

Bán nhà góc 118 Bùi Thị Xuân, Phường Bến Thành, TP.HCM Giảm 100.000.000.000 VND

Bán nhà góc 118 Bùi Thị Xuân, Phường Bến Thành, TP.HCM

350.000.000.000 VND 450.000.000.000 VND -22%

Bán nhà 86 Võ Văn Tần, Phường Xuân Hòa, TP.HCM Giảm 100.000.000.000 VND

Bán nhà 86 Võ Văn Tần, Phường Xuân Hòa, TP.HCM

750.000.000.000 VND 850.000.000.000 VND -11%

Bán nhà 236 Pasteur, Phường Xuân Hòa, TP.HCM Giảm 50.000.000.000 VND

Bán nhà 236 Pasteur, Phường Xuân Hòa, TP.HCM

400.000.000.000 VND 450.000.000.000 VND -11%

Bán Biệt thự Góc 2 Mặt tiền Vinhomes Ba Son, Quận 1 Giảm 50.000.000.000 VND

Bán Biệt thự Góc 2 Mặt tiền Vinhomes Ba Son, Quận 1

450.000.000.000 VND 500.000.000.000 VND -10%

Bán nhà mặt tiền 22A Nguyễn Văn Trỗi Quận Phú Nhuận Giảm 350.000.000.000 VND

Bán nhà mặt tiền 22A Nguyễn Văn Trỗi Quận Phú Nhuận

1.100.000.000.000 VND 1.450.000.000.000 VND -24%

Đã thêm vào giỏ hàng